Glenn Fields - Phase 1
Residential Development 200+
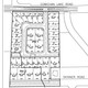
The Glenn Fields Phase 1 project is a combination of 28 single family and duplex building lots, located in the Municipality of North Cowichan, a 45 minute drive to the Capital City of Victoria, British Columbia, Canada. The project is in an area of growth (as identified by the North Cowichan OCP) and is located near schools, shopping, recreation and amenities. Glenn Fields Phase 1 is part of a large comprehensive development plan, which will consist of over 200 mixed use residential units.
The Glenn property is 6.93 acres. The land is gently sloping downward from south to north. The land is ready to develop, with services to the property line at the north boundary at Cowichan Lake Road. Lot servicing is expected to take 6 months, for completion in the fall of 2017
« Back to Projects Summary 
	
